Building Plan Approval in Tamil Nadu – Step-by-Step Guide for 2025 | SSR Construction
Get your building plan approval in Tamil Nadu with ease! SSR Construction explains the step-by-step plan approval process, required documents, timeline, and fees for 2025.
SURYARAM
6/20/20251 min read


Introduction
Building a new home or commercial building in Tamil Nadu? Before laying the first brick, plan approval is a must. This process ensures your construction is legal, safe, and follows government regulations.
In this blog, we at SSR Construction, a licensed plan approval and consulting firm in Srivilliputhur, explain the step-by-step process of getting plan approval in 2025.
1. Why Plan Approval is Mandatory
Ensures safety & legal compliance
Avoids penalties or demolition
Required for water & electricity connection
Needed for bank loans
2. Documents Required for Plan Approval in Tamil Nadu
Here’s a checklist of commonly required documents:
Patta & Chitta Copy
Field Measurement Sketch / FMB Map
Latest Tax Receipt
Encumbrance Certificate (EC)
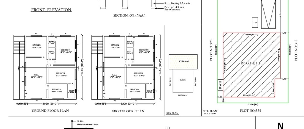
Building Plan (prepared by Licensed Engineer)
Aadhar card copy of owner,PAN
Approval from DTCP / Municipality / Panchayat
3. Who Can Approve Building Plans?
Only licensed plan approval engineers like us at SSR Construction can submit and process your file with:
Town Panchayat
Municipality
DTCP (for layouts)
Corporation (for big cities)
4. Step-by-Step Plan Approval Process
StepDescription1️⃣Site Visit & Measurements by licensed engineer2️⃣Prepare Building Plan as per local bye-laws3️⃣Submit Application with all required documents4️⃣Pay Approval Fees (based on area & type)5️⃣Site Inspection by authorities6️⃣Approval Issued – usually within 15–30 days
5. Time Taken & Fees
Approval Time: 15 to 30 working days (varies)
Cost: Depends on square feet, number of floors, and municipality
Note: Delay may happen if documents are incomplete or plan is not as per rules.
6. Plan Approval in Srivilliputhur – Why Choose SSR Construction
✅ Licensed by Municipality
✅ 7+ Years Experience
✅ Quick Processing & Document Support
✅ Affordable Charges
✅ One-stop solution from plan to execution
Need Plan Approval Help in Srivilliputhur?
Contact SSR Construction today – we simplify the entire process for you.
📞 Call: 80728 87823
🌐 Website: ssrconstructionofficial.com
📍 Location: Srivilliputhur, Virudhunagar District
Conclusion
Plan approval is the foundation of a legal and safe building project. Whether you're constructing a home, shop, or commercial space – don’t skip this crucial step.
Trust SSR Construction to get your approval done faster and legally. Let's build your dreams, the right way!
#PlanApprovalTN #SSRConstruction #SrivilliputhurEngineer #TamilNaduBuilders #ConstructionLegalTips
